Balbo Mauro Broker
Consulente e mediatore immobiliare
Toggle navigation
Home
Immobili
Vendite
Affitti
Immobili commerciali
Attività
Prestigio
Chi siamo
Servizi
Contatti
Valuta immobile
Recensioni
Rassegna stampa - Blog
Compatta pannello di ricerca immobili
Espandi pannello di ricerca immobili
Tipologia
Vendite
Affitti
Immobili commerciali
Attività
Prestigio
Categoria
Qualsiasi
1 locale
2 locali
3 locali
4 o più locali
Appartamento
Attico
Azienda agricola
Baita
Cantina
Capannone
Casa singola
Castello
Duplex
Garage
Hotel
Laboratorio
Loft
Magazzino
Maisonette
Mansarda
Negozio
Porzione di casa
Porzione di villa
Posto auto
Posto barca
Rustico / Casale
Stabile / Palazzo
Tenuta
Terreno
Terreno agricolo
Terreno edificabile
Ufficio
Villa
Villa bifamiliare
Villetta a schiera
Città
Tutte
Castell'Alfero (AT)
Cervere (CN)
Grugliasco (TO)
Ivrea (TO)
Moncalieri (TO)
Torino (TO)
Zona
Tutte
Prezzo (da - a)
Mq (da - a)
Codice
Ordinamento
Inserimento
Codice
Categoria
Città
Zona
Prezzo
Metri quadri
Cerca
LOCALE COMMERCIALE DA REDDITO RESA 8,08 %
890.000 €
300 m
2
3 Bagni
Previous
Next
Foto
Planimetrie
Codice
V000291
Città
Torino
(Centro/ Giardini Reali/ Repubblica)
Categoria
Negozio
Locali
5
Classe energetica
C
Stato Immobile
Ottimo
Grado
Signorile
Posizione
Centro Storico
Lati Liberi
2
Riscaldamento
Centralizzato
Tipo Riscaldam.
Caldaia
Tipo Impianto
Radiatori
Fonte Energetica
Metano
Acqua Calda
Autonoma
Infissi
Metallo
Serramenti
Buono
Pavim. Bagno
Ceramica
Numero Vetrine
Cinque o Più
Nel cuore del centro storico di Torino, a pochi passi da Piazza Solferino e precisamente in via Botero n° 16, proponiamo in vendita un ampio commerciale DA REDDITO (Classe C/1), attualmente condotto da un noto brand della ristorazione torinese.
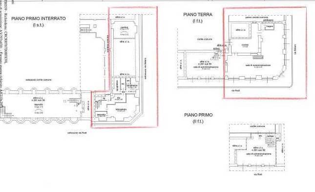
Il locale commerciale (già ex pizzeria/ristorante) è composto da un piano terra e da un piano interrato comunicante con altra proprietà adiacente che a sua volta si sviluppa su tre piani.
Il locale al piano terra ha 7 vetrine e comunica con l'altra proprietà attraverso l'apertura indicata sul lato via Rodi con tre vetrine.
L'intera superficie del locale commerciale in vendita ( porzioni terze escluse) al piano terra è a destinazione commerciale e sviluppa una superficie totale di 150 mq.
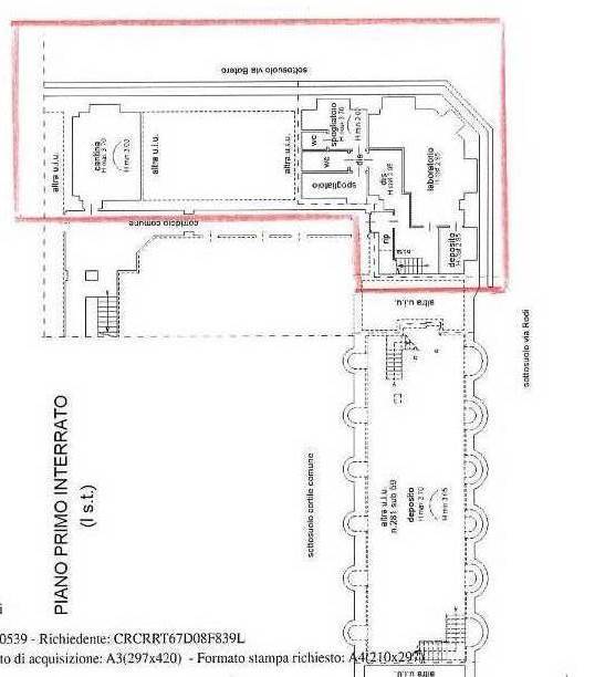
Il piano interrato che sviluppa altri 150 mq è collegato internamente al piano terra e presenta una zona accatastata come laboratorio, un disinpegno, due spogliatoi con due servizi ed un piccolo magazzino; il piano terra usufruisce di uscita di emergenza su corridoio condominiale del vano cantine.
L'intero immobile è stato ristrutturato a Dicembre 2024.
L'impianto di riscaldamento è centralizzato con termovalavole.
I serramenti sono in metallo con le serrande elettrificate.
L'attuale conduttore successivamente alla stipula del contratto di locazione ha avuto la possibilità di prendere successivamente in locazione la parte su via Rodi che non è in vendita e che si sviluppa su tre livelli (piano terra e piano primo a destinazione commerciale, piano interrato ad uso deposito).
Il contratto (6+6) in essere dell'immobile in vendita è stato stipulato in data 1 Febbraio 2024 ed è soggetto ad iva.
Resa attuale 7,57%
Vende società srl con possibilità di Reverse Charge.
Imu: € 1.547,36
Per maggiori informazioni potete contattare il sig. Balbo Mauro al seguente n° 3337254672.
Mappa
Via Giovanni Botero 16, Torino (TO)
Agenti venditori
Balbo Mauro
+39 333 7254672
maurobalbo@bmb-realestate.com
Opzioni
Stampa scheda immobile
Condividi
Tweet
Mantieni impostazioni di default X
Uso dei cookies
Questo sito fa uso di cookies. I nostri cookies (propri) e quelli dei nostri Partners (cookies di terzi) servono per poterti offrire un'esperienza unica con noi. Per questo motivo, insieme ai nostri partners, raccogliamo e processiamo informazioni non sensibili (come l'identificatore del tuo dispositivo o le pagine che visiti).
In qualsiasi momento potrai eliminare, modificare o verificare le informazioni che condividi in
Cookie preference
o nella nostra
Cookie Policy
e
Privacy Policy
.
Necessari
Funzionali
Profilazione
Analitici
Accetta tutti
Rifiuta tutti
Accetta selezionati
Cookie preference